Cargando...

Paine, Dario Pavez con Jorge Alessandri

Detalles

Valor:
UF 3.410,00
Valor (CLP aprox.)*:
$ 135.184.642
Conversión: 1 UF = $ 39.644
Superficie Total:
1.364 m²

Dirección:
Paine, Dario Pavez con Jorge Alessandri
Código aviso:
102200322
Código externo aviso:
116072658
Tipo de publicación:
Venta
Tipo de propiedad:
Terreno
Fecha Publicación:
27/11/2025
* Valor calculado a partir del valor original, este valor es solo referencial.
Más Terrenos en Paine

Descripción

Cód.: 72658
Oportunidad excelentes terrenos urbanos con inmejorable ubicación,

Estos magnificos terrenos se encuntran en Paine, sector de Champa, ( Calle principal Camino a Aculeo), cuentan con excelente conectividad, a metros de Ruta 5 y a pocos minutos del Acceso Sur.

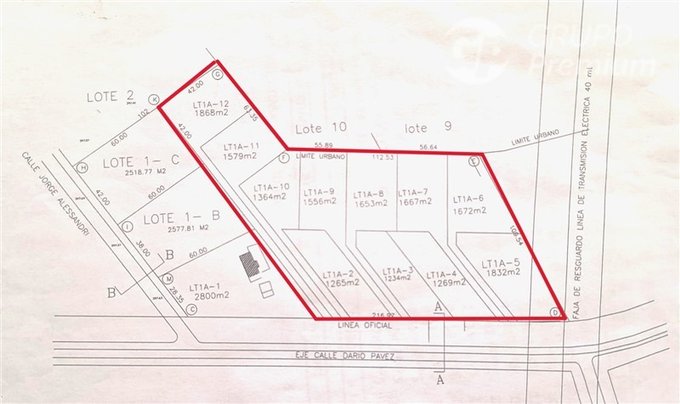
Son 11 terrenos Urbanos con distinto metraje:

Terreno 1A-2 1.265 Mt2 Valor 3.795 UF
Terreno 1A-3 1.234 Mt2 Valor 3.702 UF
Terreno 1A-4 1.269 Mt2 Valor 3.807 UF
Terreno 1A-5 1.832 Mt2 Valor 5.496 UF
Terreno 1A-6 1.672 Mt2 Valor 4.180 UF
Terreno 1A-7 1.667 Mt2 Valor 4.168 UF
Terreno 1A-8 1.653 Mt2 Valor 4.133 UF
Terreno 1A-9 1.556 Mt2 Valor 3.890 UF
Terreno 1A-10 1.364 Mt2 Valor 3.410 UF
Terreno 1A-11 1.579 Mt2 Valor 3.948 UF
Terreno 1A-12 1.868 Mt2 Valor 4.670 UF

-Toda la documentación al día
-Cada terreno con su propio ROL
-La distribución de los terrenos permite elegir el que más convenga según cada necesidad,, tanto habitacional y/o comercial, ya la calle principal cuenta con un gran flujo que asegura gran visibilidad a cualquier negocio.

No pierdas la oportunidad de adquirir uno de estos potenciales terrenos, si necesitas asesoria, más detalles de las unidades, agendar visita o para cualquier consulta, puedes escribirnos y con mucho gusto te ayudaremos.
Andrea Quintana, agente Inmobiliario
+56992717953
andrea.quintana@gpremium.cl

HONORARIOS CORRETAJE 2% + IVA

Grupo Premium Propiedades se encuentra adscrito a ACOP sometiéndose a su estricto código de ética profesional.

Mapa - Paine, Dario Pavez con Jorge Alessandri

Contactar

Email inválido
Teléfono inválido
Consejos de seguridad - No sea estafado

Corredora

Logo corredora
Nombre Grupo Premium Propiedades Santiago
Dirección Av. Luis Thayer Ojeda 1039

Información de Contacto

Nombre Grupo Premium Propiedades Santiago
Teléfono T. Fijo VER TÉLEFONO
Teléfono T. Fijo VER TÉLEFONO