Cargando...

La Florida, María Elena con Julio cesar

Detalles

Valor:
$ 398.000.000
Valor (UF aprox.)*:
UF 10.066,64
Conversión: 1 UF = $ 39.537
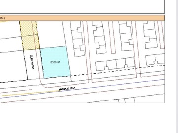
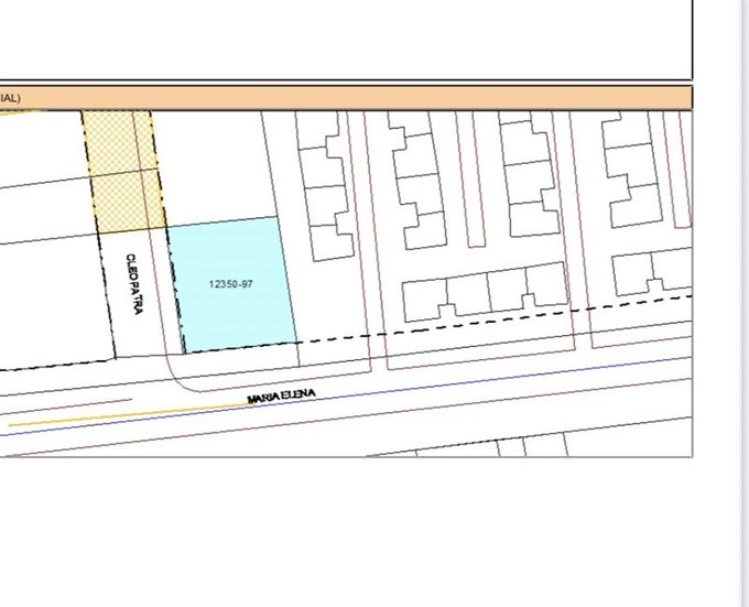
Superficie Total:
2.000 m²

Dirección:
La Florida, María Elena con Julio cesar
Código aviso:
94950744
Código externo aviso:
116101731
Tipo de publicación:
Venta
Tipo de propiedad:
Terreno
Fecha Publicación:
23/09/2025
* Valor calculado a partir del valor original, este valor es solo referencial.
Más Terrenos en La Florida

Descripción

Se vende terreno con construcción en la comuna de La Florida, específicamente en la intersección de las calles María Elena y Julio César. Este terreno de 2000 m2 cuenta con una orientación Nor-Oriente, lo que garantiza una excelente iluminación natural durante gran parte del día.

La ubicación de este terreno es ideal para aquellos que buscan desarrollar un proyecto inmobiliario, ya que se encuentra en un sector residencial consolidado y de gran plusvalía en La Florida. Además, su cercanía a servicios básicos, comercios y áreas verdes lo convierten en una excelente oportunidad de inversión.

No pierdas la oportunidad de adquirir este terreno con construcción por tan solo Pesos 398000000. Contáctanos para más información y agenda tu visita para conocer este inmueble en persona!

Mapa - La Florida, María Elena con Julio cesar

Comodidades y Lugares de Interés

Las distancias son aproximadas y consideran una linea recta entre la propiedad y el punto de interés (No consideran las cuadras).

Supermercado Ekono - Santa Raquel
Santa Raquel N° 10968
126 metros

Contactar

Email inválido
Teléfono inválido
Consejos de seguridad - No sea estafado

Corredora

Logo corredora
Nombre Easyprop
Dirección Las condes

Información de Contacto

Nombre Pamela J.
Teléfono T. Fijo VER TÉLEFONO